「黒鯛(チヌ)はまずい」「臭くて食べられない」といった声を、一度は耳にしたことがあるのではないでしょうか。
釣り人の間でも好みが大きく分かれる魚で、敬遠する人も少なくありません。
私は年間200回以上の釣行回数で、基本的にはキャッチアンドイート派なのでかなりの魚を食べてきましたが、黒鯛(チヌ)に関しては、リリースする事も多いです。
実際に何匹も食べ比べてみると、その味の印象は個体差や環境、下処理の仕方によってまったく変わります。
ある時は真鯛に負けないほど旨いのに、別の日は生臭くて箸が止まる――そんな“当たり外れの激しい魚”が黒鯛です。
この記事では、黒鯛が「まずい」と言われる理由を科学的・実体験の両面から掘り下げ、臭みの原因・美味しく食べるための下処理や調理法を具体的に紹介します。
釣り人はもちろん、スーパーで見かけて気になっている方にもわかりやすく解説していきます。
黒鯛(チヌ)は本当にまずい?評判と実際の味を検証

黒鯛(チヌ)は「まずい魚」としてよく名前が挙がる魚ですが、実際に食べてみると個体差が非常に大きいのが特徴です。見た目は真鯛に似ていますが、環境によって味がまったく違います。
特に、河口や湾内などの濁った場所に生息する個体は泥臭さ・磯臭さが出やすく、刺身では食べづらいと感じることがあります。一方で、外洋に面した潮通しの良い場所で釣れた黒鯛は、身が締まって脂がのり、非常に美味しいことも多いです。
筆者の経験では、同じ日に釣った黒鯛でも「これは真鯛より旨い」と思う個体もあれば、「正直キツいな」と感じる個体もありました。つまり黒鯛は、釣れた場所・時期・処理の仕方次第で“最高にも最悪にもなる魚”なのです。
次に、なぜ黒鯛が「まずい」と言われるのか。その原因を詳しく見ていきましょう。
黒鯛(チヌ)とは?
黒鯛(クロダイ)はスズキ目タイ科に属する魚で、見た目は真鯛に似ていますが、体色が黒く精悍な印象を持つのが特徴です。
正式名称は「黒鯛(クロダイ)」ですが、釣り人の間では「チヌ」と呼ばれることも多く、地域によって呼び名が異なります。
日本全国の沿岸部に広く分布しており、水深の浅いエリアや河口などの気水域にも生息しています。
沖縄では「ミナミクロダイ」と呼ばれる近縁種が釣れることもあります。
釣り方も非常に多彩で、エサ釣り(落とし込み釣り・ウキ釣り)だけでなく、ルアーで狙う「チニング」というジャンルも確立されています。
これらの理由から、黒鯛は釣り初心者からベテランまで人気の高い釣りターゲットとして知られています。
黒鯛が「まずい」と言われる本当の理由
黒鯛が「まずい」「臭い」と言われる最大の原因は、生息環境と食性にあります。
黒鯛は生命力が非常に強く、どんな環境にも適応できる魚です。
そのため、生活排水や工業排水が流れ込むような湾内や、都会のドブ川のような水質の悪い場所にも平気で生息しています。そういった場所に居着いている個体は、まず間違いなく臭みが強いです。
また、黒鯛は雑食性が非常に強い魚で、エビやカニなどの甲殻類だけでなく、貝類・ゴカイ・海藻・さらには腐った有機物まで食べます。
たとえ水質が綺麗な海域にいても、貝や海藻を常食している個体は、どうしても身に独特の臭みが残りやすくなります。
そのような個体は、釣りあげた時点で明らかに体が黒ずんでいたり、匂いがキツかったりするので、キャッチアンドイート派の私でもリリースしています。
つまり黒鯛の味は「魚そのものの性質」よりも、どんな環境で育ったか・何を食べてきたかで大きく変わる魚だといえます。
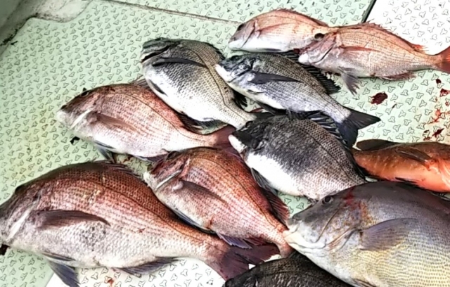
黒鯛(チヌ)の美味しい個体とまずい個体の違い

黒鯛(チヌ)は「まずい」と言われることも多い魚ですが、実際には釣れた環境や季節、食べている餌によって味が大きく変わります。
私自身、これまでに30匹以上の黒鯛を食べてきましたが、「これは最高!」と思える個体もあれば、「臭くて食べられない…」ということもありました。
同じ魚でもここまで差が出るのは珍しく、黒鯛という魚の奥深さを感じます。
ここでは、そんな黒鯛の「美味しい個体」と「まずい個体」を見分けるためのポイントを解説します。
美味しいクロダイの特徴
黒鯛(チヌ)は環境によって味の差が非常に大きい魚です。
特に以下のような個体は臭みが少なく脂の乗りも良く、美味しい黒鯛として知られています。
- 体が銀色で外洋に近い場所で釣れた個体(沖や潮通しの良いエリアの魚は臭みが少ない)
- 魚を捕食している個体(特にイワシを食べている個体は旨味が強い)
- 低水温期(冬〜春)に釣れた個体(脂がのり、身が引き締まっている)
- サイズが30〜45cm前後の個体(大型すぎると身が粗く、風味が落ちやすい)
外洋に面していない場所でも、岸壁以外に住み着いている個体は魚体も綺麗で美味しい事が多いです。
私の経験上でも、サーフ(砂浜)で釣れた黒鯛は非常に美味しい個体が多く、外洋に面したエリアで釣れたチヌはハズレがほとんどありません。
実際、フラットフィッシュやシーバス狙いの外道で釣れた黒鯛を持ち帰って食べていますが、どれも臭みが少なく食べやすい個体ばかりです。
美味しい個体は真鯛にそっくりの味で、見た目や味では見分けがつかないほどです。
ちなみに、スーパーや魚屋に並んでいる黒鯛は、基本的に沖合いで漁獲された個体が多いため、美味しいものがほとんどです。
ただし、稀に汚れた湾内や河口付近から回遊してきた個体や、貝類や海藻類を偏食してる個体も混じることがあり、その場合は味が落ちることもあります。
見分け方としては、身に黒ずみや黄色っぽい変色がある個体は注意が必要です。
水質の悪いエリアにいたり、泥を多く含む餌を食べていた可能性があり、臭みが強く出る傾向があります。
逆に、身が白く透明感のある個体は新鮮で、外洋や綺麗な海域で育った可能性が高く、刺身や塩焼きにしても非常に美味しく食べられます。
まずいクロダイの特徴
黒鯛(チヌ)は全てが美味しいわけではなく、環境や餌によっては強い臭みが出てしまう個体も多く存在します。
特に以下のような条件で釣れた黒鯛は、身に臭みが残りやすく、食べると「まずい」と感じることが多いです。
- 港内やドブ川など、水質の悪い場所に棲みついた個体
- 汽水域(淡水が混じるエリア)に長期間いる個体
- 大きすぎる個体(年無しチヌとも言われる、大味になりやすい)
- 貝類・海藻類を主に食べている個体(独特の磯臭さが出やすい)
- 夏場の高水温期に釣れた個体(身がゆるく、臭みが強くなりやすい)
特に都会の岸壁や港湾に居着いている黒鯛は、臭みが強く「食べるのをやめた方がいい」と言う人も多いです。
実際に私も、都市部の港内で釣ったチヌを数回食べたことがありますが、磯臭さと泥臭さが混じったような味で箸が進みませんでした。
今まで釣った黒鯛の中で1番ひどかったのは、工業排水が混じる川で釣った個体。
その個体はリリースしましたが、釣った瞬間からケミカル臭がとにかく酷く、掬った網も臭くなるレベルでした。
そのような個体は、調理法でどうにかなるレベルじゃないので、リリースするようにしましょう。
黒鯛は成長が遅い魚で、50cmを超えるには10年かかると言われており、50cm以上の黒鯛を年無しチヌ(黒鯛)といいます。
釣り人目線では一種の憧れもあり、釣れたら嬉しいターゲットですが、食味は正直微妙な事が多いです。
これは黒鯛だけでなく真鯛にも共通している事ですが、大きくなればなるほど脂が乗りづらく、大味に感じやすいです。
釣れた場所と環境が味を大きく左右する魚なので、食べる前に「どこで釣れたか」を意識するのがポイントです。
黒鯛(チヌ)を美味しく食べる下処理と調理法

黒鯛は雑食性が強く、食べているものによって臭みや味が大きく変わります。
そのため、下処理の丁寧さが味を左右する重要なポイントになります。
下処理|臭みを取るためのコツ
釣った直後の処理が何よりも大切です。黒鯛は血の臭いが身に回りやすいため、釣ってすぐに血抜きをするのが基本です。
- 1. 血抜き:エラを切ってしっかり血を抜く。
- 2. 神経抜き:可能であれば神経も抜いて、身の硬化や臭みを防ぐ。
- 3. 内臓処理:内臓を早めに取り出し、腹の中をきれいに洗う。
- 4. 冷却保存:氷を入れたクーラーで素早く冷却する。
また、黒鯛は雑食性の魚なので、内臓にはさまざまな餌の残りが入っています。
捌く際に胃袋を傷つけないように注意しないと、臭みが身に移る原因になります。
特に、貝やゴカイなどを食べている個体は強い匂いを持つため、慎重に処理しましょう。
持ち帰った後は、ウロコと血合いを丁寧に取ることも大切です。
血合いが臭みの元になりやすいので、流水でしっかり洗い流します。
さらに、塩を振って10分ほど置いてから拭き取ると、水分と一緒に臭み成分を除去できます。
おすすめの調理法|刺身・あらい・塩焼き・煮付け
下処理をしっかり行えば、黒鯛はどんな料理にも応用できる万能魚です。特に以下の3つの調理法がおすすめです。
- 刺身・あらい:刺身でも美味しいですが、氷水で軽く締める「あらい」にすると、身がさらに引き締まり、臭みがより取れて爽やかな味わいになります。
- 塩焼き:鯛の定番の食べ方。皮目の香ばしさ淡白でホロホロな白身が絶妙で、レモンやスダチとの相性も抜群です。
- 煮付け:身の弾力と旨味がしっかりあるため、甘辛く煮るとご飯のおかずにぴったり。少し臭みのある個体でも美味しく食べられます。
特に外洋や砂地のサーフで釣れた黒鯛は、あらいや塩焼きで素材の味を楽しむのがおすすめです。
一方で、湾内や水質が悪い場所で釣れた個体は、煮付けにすることで臭みをカバーしつつ旨味を引き出せます。
黒鯛(クロダイ)と真鯛(マダイ)の味や香りの違い

同じ「鯛」の名前がついていても、黒鯛(チヌ)と真鯛は全く別の魚です。
見た目はよく似ていますが、味・香り・身質・棲んでいる環境が大きく異なります。
どちらも釣り人には人気のターゲットですが、「黒鯛はまずい」「真鯛はうまい」と言われる理由にはきちんとした根拠があります。
ここでは、筆者が実際に両方を何度も食べ比べてきた経験をもとに、黒鯛と真鯛の味の違いをわかりやすく解説します。
味の違い
まず最も大きな違いは味の濃さと脂の質です。
真鯛は上品な甘みとしっとりとした脂が特徴で、刺身や塩焼き、煮付けなどどんな料理にしても安定して美味しい魚です。
一方で黒鯛は、真鯛に比べて味がやや淡白で、個体によっては独特の臭みを感じることがあります。
私の体感では、真鯛は「安定した美味しさ」、黒鯛は「当たり外れが大きい魚」という印象です。
同じ調理法で食べ比べても、真鯛は常にふっくらとした旨味が感じられますが、黒鯛は釣れた場所や時期によって味が大きく変わります。
見た目・身質の違い
見た目や身の質感も、真鯛と黒鯛では少し異なります。
真鯛の身は、白身の一部がやや赤みがかった体色です。
身はふわっと柔らかく上品な白身。
口当たりが非常になめらかで、刺身でも火を通してもふっくらと仕上がります。
一方黒鯛は、白身の一部がやや黒みがかっています。
身質も真鯛より筋肉質で弾力が強いのが特徴です。
その分、少し硬く食べ応えがあります。
外洋で釣れる銀ピカの黒鯛は、真鯛と見た目や身質が非常に似ており、並べてみても区別がつかないほど。
実際に食べ比べても真鯛に引けを取らない美味しさがあります。
真鯛に関しても、天然と養殖で大きく変わってきます。
天然の真鯛の方が身が締まっていて、一般的に美味しいとされていますが、養殖の真鯛は身が柔らかく加熱料理に向いています。
香り・臭みの違い
真鯛は海藻や甲殻類を主に食べるため、磯の香りがほどよく上品で、刺身でも焼きでも「魚の香ばしさ」が楽しめる魚です。
一方で黒鯛(チヌ)は雑食性が非常に強く、底の貝類やゴカイ、時にはヘドロまじりの泥底の餌も食べるため、身にその臭いが移ることがあります。
特に、ドブ臭・磯臭・泥臭と呼ばれるような独特の臭みは、棲んでいる環境や食べているエサが大きく関係しています。
私の経験では、河口や港湾のような濁りの強い場所で釣れたチヌほど臭みが強く、逆に外洋や砂地で釣れたチヌはほぼ無臭に近いことが多いです。
臭みを抑えるには、釣った直後にしっかりと血抜きをして、氷で冷やすことが重要です。
また、調理前に皮や血合いの部分を丁寧に取り除くことで、臭みはかなり軽減されます。
まとめ|黒鯛(チヌ)は「まずい魚」ではなく、環境と扱い次第で絶品になる

黒鯛(チヌ)は確かに「まずい」と言われることもありますが、その多くは生息環境と下処理の差によるものです。
水質の悪い港湾部や河口で釣れた個体は臭みが強くなりやすい一方で、外洋のきれいな海で釣れた銀ピカのチヌは真鯛に引けを取らない美味しさを持っています。
また、釣った後の血抜き・内臓処理・冷却をしっかり行うことで、臭みを大幅に軽減できます。
塩焼き・煮付け・あらいなど調理法を工夫すれば、黒鯛本来の旨味を十分に楽しむことができます。
私自身、年間200釣行の中で、様々な環境で釣った黒鯛を何十匹も食べてきましたが、「釣れた場所」と「処理の丁寧さ」を意識するだけで、美味しい確率は格段に上がります。
黒鯛は決してまずい魚ではなく、扱い方次第で最高の食材になります。






コメント